Inicio frontera

Noticias sobre frontera

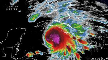
miami bajo vigilancia de huracan, mientras eta golpea a cuba
nicolas maduro: me parece una muy buena idea comprarle misiles a iran
prioridades del dictador maduro en venezuela
venezuela acusa al embajador espanol de complicidad en la fuga de leopoldo lopez del pais
leopoldo lopez abandono la embajada de espana en caracas
mueren mas de 15 miembros de la rama de al qaeda en siria y cinco civiles en un bombardeo de un dron de eeuu
trinidad y tobago en alerta por hundimiento de buque petrolero de venezuela
cuatro detenidos vinculados a la decapitacion en francia
llega a miami hija embarazada de opositor con cancer
miami bajo vigilancia de huracan, mientras eta golpea a cuba
nicolas maduro: me parece una muy buena idea comprarle misiles a iran
prioridades del dictador maduro en venezuela
venezuela acusa al embajador espanol de complicidad en la fuga de leopoldo lopez del pais
leopoldo lopez abandono la embajada de espana en caracas
mueren mas de 15 miembros de la rama de al qaeda en siria y cinco civiles en un bombardeo de un dron de eeuu
trinidad y tobago en alerta por hundimiento de buque petrolero de venezuela
cuatro detenidos vinculados a la decapitacion en francia
llega a miami hija embarazada de opositor con cancer